Działka na sprzedaż, woj. Polska / dodano: 09.09.2023
małopolskie, wielicki, Gdów, Marszowice
Cena: 354 620 PLN  (170 PLN/m²)
Powierzchnia działki
2086 m²
Typ domu
inny
Typ działki
budowlana
Dostęp do drogi
asfaltowa/betonowa
Prąd
Tak
Numer oferty
gratka-31729725
Data aktualizacji
2026-04-24 02:02:22
Opis:

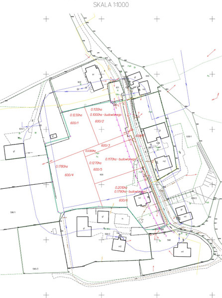
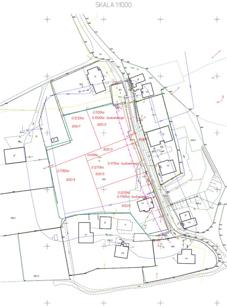
;Działka 600/4 ( 1787 m2 ). Klasyfikacja MNU, Gaz i energia elektryczna w działce 600/3, woda w działce 600/4. Dojazd drogą wewnętrzną , którą jest działka 600/3. Działki mają służebność w doprowadzeniu wody do działki 600/5. Cena 170 zł za m2. Do działki 600/4 jest przypisana działka 600/3 ( 300 m2 - droga dojazdowa) w cenie 170 zł/m2



Andrzej Gondek
Zadzwoń do oferenta
Zadzwoń do oferenta: +48 504 012 565
Ogłoszeniodawca nie zgadza się na kontakt agencji nieruchomości.
Powiedz, że znalazłaś/eś ofertę na Bezposrednie.com. Dziękujemy.
Wyślij wiadomość do oferenta
Wyślij wiadomość do oferenta

Zgadzam się też na otrzymanie:

reklama