Działka na sprzedaż, woj. Polska / dodano: 05.04.2026
zachodniopomorskie, goleniowski, Goleniów, Tarnówko
Cena: 150 000 PLN  (50 PLN/m²)
Powierzchnia działki
3000 m²
Typ domu
inny
Typ działki
rolna
Numer oferty
gratka-46484321
Data aktualizacji
2026-04-20 02:15:21
Opis:

Powierzchnia: 3 000m²

Cena: 150 000zł

Miejscowość: Tarnówko, gm. Goleniów

Rodzaj działki: rolna

Warunki zabudowy: tak, przeniesione w 2021

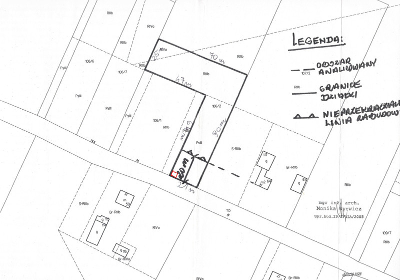
Media: prąd na działce - złącze kablowo pomiarowe (na czarno-białym rysunku zaznaczone na czerwono), woda w drodze, do podłączenia na podstawie docelowego projektu budowlanego


48799137887

Joel Paul
Zadzwoń do oferenta
Zadzwoń do oferenta: +48 799 137 887
Ogłoszeniodawca nie zgadza się na kontakt agencji nieruchomości.
Powiedz, że znalazłaś/eś ofertę na Bezposrednie.com. Dziękujemy.
Wyślij wiadomość do oferenta
Wyślij wiadomość do oferenta

Zgadzam się też na otrzymanie:

reklama