Działka na sprzedaż, woj. Polska / dodano: 07.04.2026
mazowieckie, garwoliński, Maciejowice, Kochów
Cena: 78 000 PLN  (39,06 PLN/m²)
Powierzchnia działki
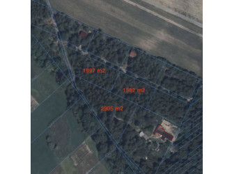
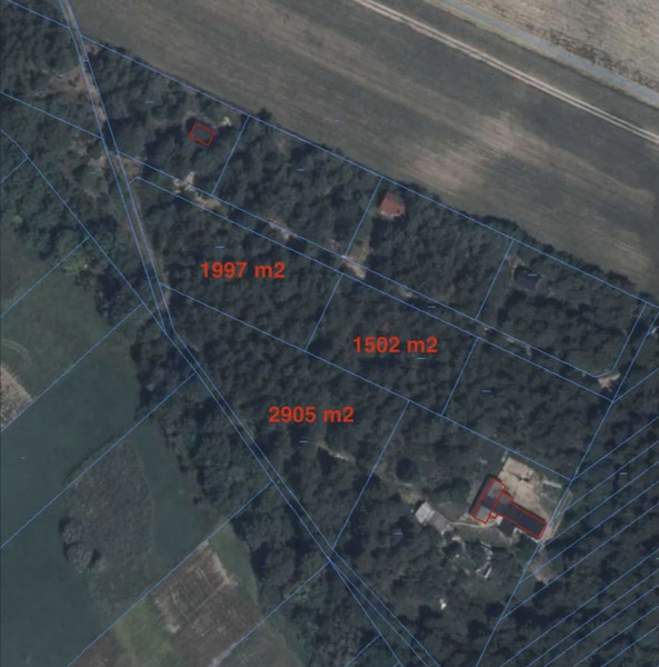
1997 m²
Typ domu
inny
Typ działki
rekreacyjna
Numer oferty
gratka-46492339
Data aktualizacji
2026-04-22 02:04:38
Opis:

Działka sąsiaduje z dwoma innymi moimi działkami 1502 m2 i 2905 m2, które również są na sprzedaż oraz z kawałkiem lasu 2900 m2.

Oferuje na sprzedaż działkę rekreacyjną w malowniczej okolicy. Powierzchnia działki sprzyja różnorodnym aktywnościom. Działka ma dostęp do energii elektrycznej oraz jest położona w cichej, leśnej okolicy.

Znajdziesz się w pobliżu:

  • lasów
  • otwartych terenów
  • idealnych miejsc na spacery
  • tras rowerowych
  • terenów do wypoczynku
  • mniejszych miejscowości z podstawową infrastrukturą

To doskonała propozycja dla osób szukających spokoju poza miastem. Zainwestuj w przyszłość i stwórz swoje wymarzone miejsce wypoczynku!

Jan Scheiner
Zadzwoń do oferenta
Zadzwoń do oferenta: +48 600 389 388
Ogłoszeniodawca nie zgadza się na kontakt agencji nieruchomości.
Powiedz, że znalazłaś/eś ofertę na Bezposrednie.com. Dziękujemy.
Wyślij wiadomość do oferenta
Wyślij wiadomość do oferenta

Zgadzam się też na otrzymanie:

reklama