Działka na sprzedaż, woj. Polska / dodano: 03.04.2019
Andrzeja Struga, łódzkie, zduńskowolski, Zduńska Wola, Zduńska Wola
Cena: 2 000 000 PLN  (125 PLN/m²)
Powierzchnia działki
16 000 m²
Typ domu
inny
Typ działki
inwestycyjna
Dostęp do drogi
asfaltowa/betonowa
Prąd
Tak
Numer oferty
gratka-10967945
Data aktualizacji
2026-05-14 02:11:51
Opis:

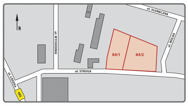
Do sprzedania jedna lub dwie działki o łącznej powierzchni 16000 m2 w strefie przemysłowej miasta.

Działka 84/1 o powierzchni 6700 m posiada 1 wjazd.

Działka 84/2 o powierzchni 9300 m posiada 2 wjazdy.

Nieruchomość posiada pełne uzbrojenie w media. W drodze kanalizacja sanitarna, prąd, woda, gaz i kanalizacja deszczowa. Działki oddalone są około 300 metrów od drogi wojewódzkiej 482 ( ul. Łódzka). W bliskim sąsiedztwie znajdują się liczne zakłady przemysłowe. Dobry dojazd do S8. W bezpośrednim sąsiedztwie będzie rozbudowywana galeria handlowa. Miasto Zduńska Wola sprzedało tereny inwestycyjne w styczniu 2021 r.

Powyższy opis ma charakter informacyjny i powinien być interpretowany jako informacja o której mowa w art.71 KC.

Piotr
Zadzwoń do oferenta
Zadzwoń do oferenta: +48 517 714 833
Ogłoszeniodawca nie zgadza się na kontakt agencji nieruchomości.
Powiedz, że znalazłaś/eś ofertę na Bezposrednie.com. Dziękujemy.
Wyślij wiadomość do oferenta
Wyślij wiadomość do oferenta

Zgadzam się też na otrzymanie:

reklama